エジプト・ギザのピラミッド地下に、想像を超える巨大構造が広がっている――そんな衝撃的な主張が、イタリアの研究チームによってあらためて発表され、世界中で議論を巻き起こしています。
地下およそ1キロメートルに及ぶ深部に、巨大な円筒構造と立方体状の空洞が存在するとされ、複数の人工衛星が同一の解析結果を示したというのです。
考古学・地質学・宇宙工学の境界を揺るがす内容である一方、主流学界からは強い批判も浴びています。

4社の独立した衛星が同一の地下構造を検出
この研究を主導するのは、レーダー工学者のフィリッポ・ビオンディ氏です。
2025年3月、同氏のチームは「ギザ高原の地下に巨大な人工構造が存在する」と発表しました。
その後、米ポッドキャスト番組『American Alchemy』に出演したビオンディ氏は、新たな裏付けとして、4社の独立した人工衛星事業者――Umbra、Capella Space、ICEYE、そしてイタリアのCosmo-SkyMed――が、すべて同一の地下構造を示す断層データを取得したと明かしています。
「4つの衛星が完全に同じ結果を返した。これは偶然では説明できない」と、ビオンディ氏は強調しました。

引用:dailymail
レーダー波ではなく「地表振動」を使った探査技術
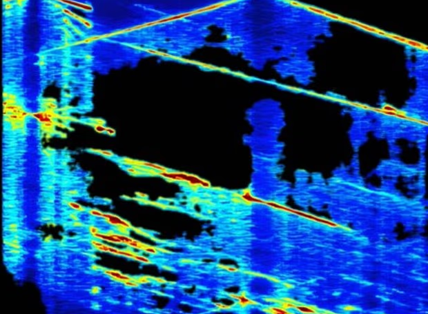
使用されたのは、ビオンディ氏が開発した「合成開口レーダー・ドップラー断層法(SARドップラートモグラフィー)」です。
この技術は、地表の微細な振動を衛星から計測し、その振動に含まれる音響的な“指紋”を解析することで、地下数百〜数千メートルの構造を三次元的に再構成する手法です。
通常の地中レーダーは深部まで透過しませんが、この方法では地下構造そのものが発する振動情報を利用するため、理論上は極めて深い領域まで推定できるとされています。
カフラー王のピラミッド直下に8本の巨大円筒
解析結果によれば、三大ピラミッドの中央に位置する「カフラー王のピラミッド」の基部から、8本の巨大な空洞円筒がほぼ垂直に地下へ伸びているとされます。
各円筒の内部には中心柱が存在し、その周囲を完璧な螺旋構造が取り巻いていると解析されています。
これらのシャフトは深さ約3,300〜3,500フィート(約1,000メートル以上)に達し、最深部には一辺約80メートル(260フィート)の巨大な立方体状空間が存在するとされています。
この空間の体積は、現代の大型スポーツアリーナをも上回る規模です。

引用:dailymail
「自然にできる構造ではない」と断言
ビオンディ氏は、螺旋構造について「これは100%人工物だ」と断言しています。
「地質学的プロセスで、これほど規則正しい完全な螺旋が形成されることはあり得ない」と述べています。
一方で、著名なエジプト考古学者ザヒ・ハワス博士は、この主張を全面否定しています。
「その種のレーダー技術が、ピラミッド地下1,000メートル以上の構造を正確に描き出せるとは考えられない。科学的根拠に乏しい」と強く批判しています。
このテーマと重なる“世界の異変・不可解な兆候”が、
当サイトには複数記録されています。
動画や写真付きの生々しい証言はこちらです。
関連するUFO目撃記録
スフィンクス直下や別遺跡でも同様の反応
研究チームは、同様の巨大シャフト構造が、第三のピラミッドであるメンカウラー王のピラミッド地下でも小規模ながら検出されたと報告しています。
さらに、スフィンクス直下には単独の巨大シャフトが存在する可能性も示されています。
加えて、ギザから約50キロ離れたハワラ遺跡でも、同一の螺旋幾何学パターンが検出されたとされます。
ハワラは古代文献で「巨大迷宮」が存在したと記される場所でもあり、研究チームは両者の関連性も示唆しています。
用途は不明、「エネルギー施設」説も浮上
これらの構造の用途については、研究チーム自身も「現時点では不明」としています。
ただし、ビオンディ氏は、螺旋部分が巨大な階段、あるいはケーブル状の構造の可能性があると述べています。
さらに彼は、「この構造は“情報”と深く関係しているように見える」と発言し、発電やエネルギー伝送施設だった可能性にも言及しました。
もっとも、これは現段階では科学的検証が行われていない仮説に過ぎません。
2026年にも実地調査の可能性
研究チームはすでに「カフラー調査プロジェクト」として、エジプト当局に正式な許可申請を提出しています。
新たな掘削は行わず、スフィンクスとピラミッドの間に存在する既存の埋没シャフトを清掃することで、地下構造へ直接アクセスできる可能性があるとしています。
ビオンディ氏は「年内に許可が下りれば、2026年にも物理的な探査が開始できる」と語っています。


ギザのピラミッド地下に広がるとされる巨大人工構造は、4社の独立した人工衛星による解析データを根拠に「実在が強く示唆されている」とイタリアの研究チームは主張しています。
しかし、主流の考古学界はこの説に強く反発しており、現時点では学術的に確定した事実とは言えません。
この“地下都市”が人類史を書き換える発見となるのか、それとも技術的誤認に終わるのか。その行方は、今後の現地実地調査に委ねられることになりそうです。
引用元:dailymail
🛸 あなたの不思議な体験を募集しています
UFO目撃、奇妙な夢、説明できない出来事、心に引っかかる予兆…
小さな体験でも大歓迎です。
読者のみなさんの投稿が、今後の記事づくりの大きなヒントになります。
どんな内容でも気軽に送ってください(1分で投稿できます)
-
UFO・宇宙人
バルト海のUFO、やはり本物だった!?──「人工物」「浮遊」「電磁異常」3つの新証言で深まる謎
-
UFO・宇宙人


【超最新】ブラジルで撮影された、並走するUFO――クリスマスに撮られた円盤型UFO
-
予言


2026年に起きることは予言されていた!?――ババ・ヴァンガとノストラダムスが語った2026年の世界
-
UFO・宇宙人


ブッシュ元大統領は宇宙人に会っています──UFOドキュメンタリー「エイジ・オブ・ディスクロージャー」で語られた真実
-
歴史


ピラミッドの地下に巨大人工構造が確認されました――伊研究チームが衛星データで証拠を発見
-
UFO・宇宙人


3I/ATLASは呼吸している!?――16.16時間周期で脈動していることが判明しました







コメント
コメント一覧 (3件)
[…] […]
[…] […]
[…] […]